Update August 2022

Property has been sold.

Update - February 2022

Listed for sale by Expressions of Interest closing 30 March 2022

Update – 11 June 2021 - This engagement is closed

This engagement is now closed for evaluation and review.Thank you to everyone who provide feedback, it is valued and appreciated.


The City of Greater Geelong Council has deemed 2 Bayley Street, Geelong surplus to its requirements and has provided notice of its intention to sell the land. If the property is determined to be sold, the City may impose some restrictions on the title to guide future development at 2 Bayley Street before selling the property. This property comprises 2 lots and common property, being Certificate of Title Volume 10934 Folio 696, lot 1 PS504306 and Certificate of Title Volume 10934 Folio 697, lot 2 PS504306 and common property no 1 on Plan of Subdivision 504306.


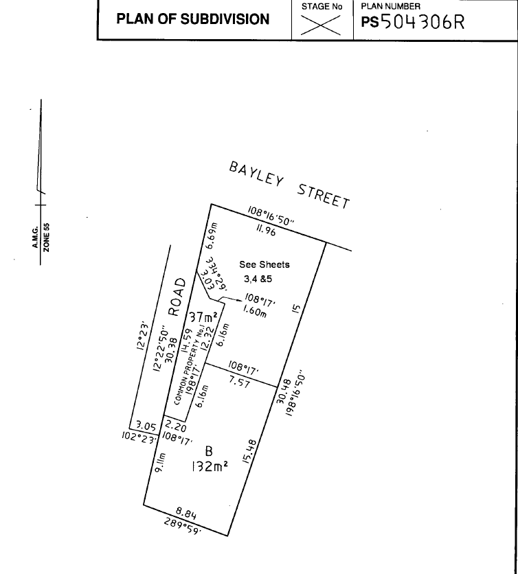
PLAN

Plan of Subdivision - 2 Bayley Street,Geelong

Plan represents Lot 1, Lot 2 and the common property which forms 2 Bayley Street, Geelong.


Submissions Process

In accordance with section 223 & section 189 of the Local Government Act 1989 and Council's Community Engagement Policy, submissions are invited on the proposed sale of 2 Bayley Street, Geelong, any person may make a submission to the Council. All submissions will be considered.

If any person wishes to be heard in support of their submission, they must include in their request to be heard in the written submission. This will entitle them to appear either personally or by a person acting on their behalf, before a Submissions Review Panel. The date, time and location will be advised.

Submissions on this matter must be received by 11 June 2021.

Submissions can be made online below or addressed to the Manager - Property, Procurement and Assets, Greater Geelong City Council, PO Box 104, Geelong, Vic, 3220

To ensure your submission is valid please include your name, postal address, a contact phone number, email address (if you have one) and details of your submission.

Submission details

Privacy Clause

The personal information requested on this form is being collected by City of Greater Geelong for the purpose of the collating of submissions regarding this notice to sell land at 2 Bayley Street, Geelong, or any other directly related purpose.

If the personal information is not collected, we may not be able to contact you for further questions or solutions. Your personal information will only be disclosed as required to do so by law. Our privacy policy is available on our website. If you wish to alter any of the personal information you have supplied to City of Greater Geelong, please contact us by sending an email to privacy@geelongcity.vic.gov.au.